Public Notice - Notice of Application The Landing at Green Mountain 2 (File No. SUB25-1006)
NOTICE OF APPLICATION
The Landing at Green Mountain 2
(Planning Case Number: SUB25-1006)
Consolidated Files: State Environmental Policy Act, Archaeological and Critical Area Review
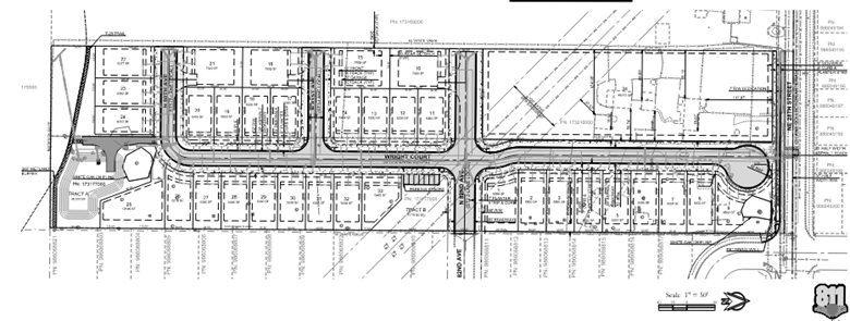
NOTICE IS HEREBY GIVEN that an application for the “Landing at Green Mountain 2”, a 34-lot subdivision was received on July 14, 2025, and deemed technically complete on September 24, 2025. A public hearing is required for the development proposal and will be scheduled at a later date. A separate public hearing notice will be mailed to all property owners within 300-feet of the subject development and published in the Post Record.
Location: The approximately 9.6-acre site is zoned Single-Family Residential (R-7.5) in the City of Camas. The site is located at 22015 & 22111 NE 28th Street in the SW ¼ of Section 21 Township 2 North, Range 3 East, Camas, WA, Parcel Numbers: 611175000, 173177000, and 173210000.
Application Materials: The application included the following: project narrative, SEPA checklist, preliminary development plans, preliminary stormwater report, critical areas report, preliminary geotechnical report, preliminary landscape plan, archeological pre-determination report, mailing labels, title report and traffic study. Application materials are available for review from the Community Development Department during regular business hours Monday – Friday 8am-5pm.
Questions/Comments: For questions related to this application, please contact Yvette Sennewald, Senior Planner, at (360) 817-1568 or by email at communitydevelopment@cityofcamas.us. .


