Public Notice - Notice of Application and Public Hearing Village at North Shore (File No. SHOR25-1008)
Notice of Application and Public Hearing
Village at North Shore (SHOR25-1008)
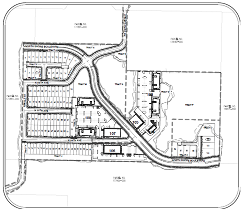
NOTICE IS HEREBY GIVEN that an application for the “Village at North Shore” including a proposal to develop a subdivision with 102 single-family residential lots, mixed-use buildings and apartments in the North Shore Mixed Use (MX-NS), North Shore Higher Density Residential (HD-NS), North Shore Lower Density Residential (LD-NS), and North Shore Commercial (C-NS)., was received on July 23, 2025, resubmitted on August 21, 2025 and deemed technically complete on August 26, 2025.
Location: The subject site is located at 313 SE Leadbetter Road and 305 SE 252nd Avenue, Camas, WA and is in the North Shore Mixed Use (MX-NS), North Shore Higher Density Residential (HD-NS), NorthShore Lower Density Residential (LD-NS), and North Shore Commercial (C-NS). The parcels are identified as 177885000 of the NE ¼, Section 34, Township 2 North, Range 3 East, of the Willamette Meridian and 178175000 of NW 1/4 of Section 35, Township 2 North, Range 3 East, of the Willamette Meridian.
Scheduled Public Hearing: A virtual and in-person public hearing will be held before the city’s hearings examiner on December 2, 2025 at 5:00pm. Instructions and a link to participate will be available on the agenda page of the city’s website at least seven days prior to the meeting. The agenda is located at the following link: www.cityofcamas.us/yourgovernment/minuteagendavideo
Application Materials: The Village at North Shore application included the following: narrative, preliminary site plan, pre-application meeting notes, preliminary geotechnical report, preliminary stormwater plan, SEPA checklist, critical areas report, mitigation plan, transportation impact study, tree survey, and other required documents. The documents are available for review at the Community Development Department located at 616 NE 4th Avenue, Camas, WA during regular business hours Monday through Friday 8:00am-5:00pm.
Participate: All citizens are entitled to have equal access to the services, benefits, and programs of the City of Camas. Please contact the City Clerk at (360) 834-6864 for special accommodation if needed. The city will provide translators for non-English speaking persons who request assistance at least three working days prior to a public meeting.
Public comments and questions are encouraged, and there are several opportunities available to interested citizens. It is preferable that written comments be received five days prior to the public hearing, in order to be available with the online agenda and materials. Comments can also be accepted during the public hearing. The public hearing will follow the quasi-judicial process described within Camas Municipal Code §18.55.180. Comments related to this development may be submitted as follows: (1) In person by testifying at the public hearing; (2) by regular mail to Planning Division staff, Yvette Sennewald, Senior Planner, at the Camas City Hall, 616 NE 4th Avenue, Camas, WA 98607; (3) by email to: communitydevelopment@cityofcamas.us; or (4) by phone (360) 817-7237. For questions related to this application, please contact Madeline Coulter Planner, at (360) 817-1568 or communitydevelopment@cityofcamas.us.



