Notice of Decision "The Reserve at Green Mountain Subdivision" (Planning Case: SUB25-1004)

Notice of Decision
"The Reserve at Green Mountain Subdivision" (Planning Case: SUB25-1004)

DECISION ISSUED

December 17, 2025

 

CITY CONTACT:

Yvette Sennewald, Senior Planner
Phone: (360) 817-1568
Email: communitydevelopment@cityofcamas.us

APPLICANT:

Pacific Lifestyle Homes

LOCATION:

2625 NE Goodwin Road
Tax Parcel Number 173192000

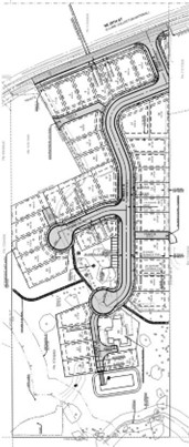
THIS IS TO SERVE AS NOTICE that a decision of APPROVAL for “The Reserve at Green Mountain” (Planning Case SUB25-1004), to subdivide approximately 11.3 acres into 38 single-family lots for the future construction of 37 additional single-family detached homes. 

The Final Order of the Hearings Examiner, including the staff report and application materials, are available on the city website: https://www.cityofcamas.us/bc-hearings-examiner/page/hearings-examiner-meeting-50

RECONSIDERATION (Refer to CMC 18.55.235):

Any party of record believing that a decision of the hearings examiner is based on erroneous procedures, errors of law or fact, or the discovery of new evidence which could not be reasonably available at the public hearing, may make a written request to the examiner, filed with the city clerk (Municipal Center, 616 NE 4th Ave., Camas), to be accompanied by an appeal fee of $1,500 for reconsideration by the examiner.

  1. Time Frame. The request for reconsideration shall be filed within fourteen calendar days of the date the decision was rendered. Deadline for filing a reconsideration request is December 31, 2025, at 5:00 p.m.
  2. Content. The request for reconsideration shall contain the following:
    1. The case number designated by the city and the name of the applicant;
    2. The name and signature of each petitioner;
    3. The specific aspect(s) of the decision being appealed, the reasons why each aspect is in error as a matter of fact or law and the evidence relied on to prove the error. If the petitioner wants to introduce new evidence in support of the appeal, the written appeal must explain why such evidence should be considered.
  3. The hearings examiner may, after review of the materials submitted in conjunction with the reconsideration request, and review of the open record hearing transcript, take further action as he or she deems proper; including, but not limited to, denying the request, modifying the decision, or affirming the decision.
  4. The hearings examiner shall issue a decision on a request for reconsideration within forty-five (45) days of the filing of the request for reconsideration. When a request for a reconsideration has been timely filed, any appeal to Clark County Superior Court under the Land Use Petition Act shall be filed within twenty-one (21) days after a hearing examiner issues its decision on the request for reconsideration.

JUDICIAL APPEALS (Refer to RCW Chapter 36.70C):

The City’s final decision on an application may be appealed by a party of record withstanding to file to land use petition in Clark County superior court. Such petition must be filed as provided in Chapter 36.70C RCW.

Click any thumbnail image to view a slideshow

Site Plan
Vicinity Map