Notice of Application Stella Ridge Subdivision (File No. SUB25-1009)
NOTICE OF APPLICATION
Stella Ridge Subdivision
(File No. SUB25-1009)
Consolidated Files: State Environmental Policy Act, Critical Areas Review and Archaeological Review
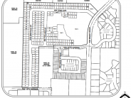
NOTICE IS HEREBY GIVEN that an application for the “Stella Ridge Subdivision”, a 158-lot subdivision was received on September 12, 2025, resubmitted on October 6, 2025, and October 23, 2025, and was deemed technically complete on November 5, 2025. A public hearing is required for the development proposal and will be scheduled at a later date. A separate public hearing notice will be mailed to all property owners within 300-feet of the subject development and published in the Post Record.
Location: The +/-24.41-acre site is zoned Multifamily Residential-18 (MF-18) in the City of Camas. The site is located at 4511 NW 18th Ave in the SE ¼ of Section 05 Township 1 North, Range 3 East of the Willamette Meridian, Camas, WA. Parcel Numbers: 125193000, 986055381 and 125185000.
Application Materials: The application included the following: project narrative, SEPA checklist, preliminary development plans, tree report, preliminary stormwater report, critical areas report, preliminary geotechnical report, archeological pre-determination report, mailing labels, title report and traffic study. Application materials are available for review from the Community Development Department during regular business hours Monday – Friday 8am-5pm.
Questions/Comments: For questions related to this application, please contact Madeline Coulter, Planner, at (360) 817-1568 or by email at communitydevelopment@cityofcamas.us.

